
15 липня 2019, 08:42
15 липня 2019, 08:42
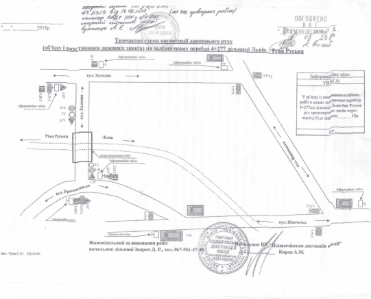
Сьогодні, 15 липня, у Львові протягом дня – з 8:30 до 20:30 – буде закритий для транспорту залізничний переїзд Клепарів – Брюховичі. Про це повідомляє прес-служба ЛМР.
Тут проводить колійні роботи виробничий підрозділ «Підзамчівська дистанція колії».
Читайте також: У Львові на ремонт закрили частину вулиці Пластової. Як об'їхати
Об’їзд відбувається відповідно до розробленої тимчасової схеми організації дорожнього руху.

Коментарі
Поки що немає коментарів. Будьте першим, хто залишить свій відгук!
Читайте також
Контент
Рубрики
Розроблено:
Levprograming
За умови повного або часткового використання iнформацiї гіперпосилання на tvoemisto.tv є обов'язковим. Відповідальність за достовірність фактів, цитат, власних імен та інших відомостей несуть автори публікацій, а рекламної інформації — рекламодавці. Думка редакцiї може не збiгатися з думкою авторiв.
© 2026 "Твоє місто"




