Неподалік Львівського автовокзалу на вул. Стрийській пропонують збудувати житлово-комерційний комплекс з офісами та міні-готелем чи апартаментами. Про це повідомили на засіданні архітектурно-містобудівної ради ЛМР 3 травня під час розгляду проєкту детального плану території у районі вул. Стрийської, вул. Княгині Ольги проектованої, межі міста.
Йдеться про територію, що сформована переважно садибно-житловою забудовою, велику частину тут займає гаражно-будівельний кооператив. У південній частині детального плану є комплекс таунхаусів, збудованих 15 років тому та вже заселених. Навпроти – незавершене будівництво управління поліції і забудова вулиці Стрийської.
Читайте також: Як занепав «символ Львова», або Чи зміниться щось на Стрийському автовокзалі

«В одній з частин вулиці Стрийської є вільна територія, на якій – декілька некапітальних одноповерхових будівель, що вже викуплені. Одна з черг освоєння цієї території – це ділянка в кінці вулиці Сокільницької, паралельно до Стрийської, що з південного боку межує з комплексом таунхаусів. У нас були громадські слухання з мешканцями вулиці, є діалог, у план вже внесли деякі правки», – каже архітектор Юрій Столяров.
Читайте також: У Львові реорганізують рух на вулиці Кульпарківській. Схема
Окрім зауважень мешканців, каже він, врахували і пропозиції компанії-забудовника «Кворум», яка планує будувати тут.
За його словами, в'їзд в місто однією з найбільших магістральних вулиць Львова формується, з одного боку, високою забудовою, тобто поверховістю від 9 до 14 поверхів. А з іншого – садибна одноповерхова забудова. На його думку, містобудівний процес з часом дійде до того, що передній фронт західної сторони вулиці Стрийської також почне формувати забудова, яка своїм масштабом відповідає категорії вулиці. Процес уже поступово стартував – починаючи від перехрестя з вулицею Науковою, а цей детальний план показує один із етапів такого процесу.

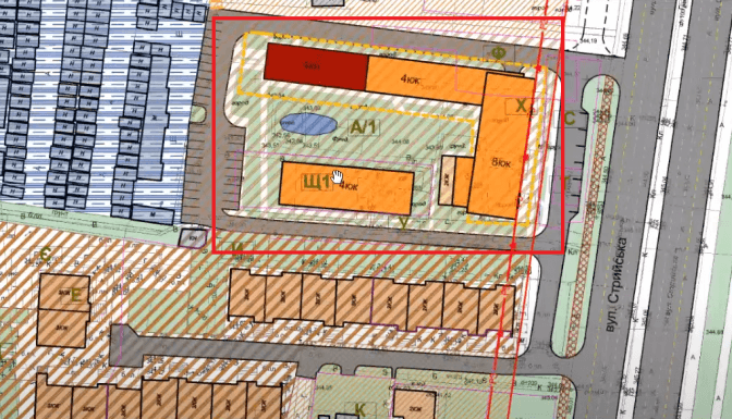
Вигляд будівництва з боку заїду до Львова по об'їзній
«У частини цієї ділянки вже є містобудівні умови та обмеження на чотириповерховий житловий будинок (вул. Стрийська, 236 – ред.), будівництво йде, а детальним планом пропонують завершити формування цієї житлово-громадської групи, а саме передбачити житлово-комерційний комплекс», – пояснює архітектор.
Читайте також: Навколо автовокзалу. Як врятувати від депресії новий район на околицях
Зокрема, тут планують будівництво з вбудованими на перших двох поверхах комерційними приміщеннями. Власник ділянки, за словами Юрія Столярова, вже отримав містобудівні умови та обмеження на комерційний об’єкт – офісний центр з автосалоном на першому поверсі. Він має стосунок до торгівлі автомобілями, і тут, на вул. Стрийській, бачить перспективу розвитку.

Водночас із боку гаражного кооперативу хочуть розмістити нежитловий блок, приміром, офіси, апартаменти чи міні-готель. Поверховість – 4-8 поверхів. На території у межах проєктування є декоративна водойма, яку збережуть і мають збільшити. Передбачений також підземний паркінг на 20-25 машин, відкрита автостоянка на 32 машино-місця, гостьова – на 6 місць.
Читайте також: У Львові знесуть «Формулу краси» на Стрийській і збудують кафе
За даними системи Youcontrol, компанія «Кворум Партнерс» зареєстрована на вул. Щирецькій у Львові та займається будівництвом житлових та нежитлових приміщень, електромонтажними і підготовчими роботами. Кінцевим бенефіціарним власником є Юліан Чаплінський та Любомира Була, директор – Роман Була.
Нагадаємо, що у грудні минулого року виконавчий комітет ЛМР погодив зведення готелю на вулиці Стрийській, 236. Йдеться про будівництво на магістральній вулиці міста, неподалік головного автовокзалу. Виконком погодив видачу містобудівних умов та обмежень на будівництво готелю з вбудованими нежитловими приміщеннями та підземним паркінгом. Їх отримав львів’янин Володимир Янчинський.
На головному фото візуалізація запланованого будівництва на вулиці Стрийській, 284.
Антоніна Костик
Ольга Коваль
Скріншоти з презентації архітектурно-містобудівної ради ЛМР





